Order by
Close Sorting
Share it
Close Filters
Properties
Information
Versions
  Love Share etc
Save it Share it Print it

758 West Athens plot 4.200 sq.m for sale

 
Property ID
81
Area
Acharnes (Menidi)
Property Type
Land
Building Factor
0.20
Building Coverage
10%
Size
4.200 sqm
Price
Call us

Property's Description

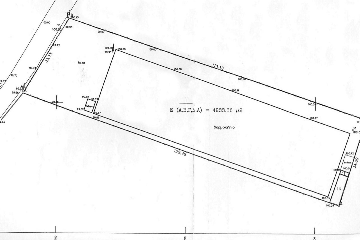
Greece, West Athens-Acharnes, a plot of land 4,200 square meters on a central spot of the area, is available for sale.

The plot is buildable, with a building factor of 0.2, which means it can build a property of total space upon the ground of 840 square meters and a maximum cover of 10%.

The plot has good dimensions with a facade of 34 square meters on a paved road. It is located within a GIS with commercial use.

The property has very good access to the National Road Athens-Lamia is. It is suitable for many uses, warehouses, marble shops, and investments.

See more plots and find the one that suits the needs of your business by clicking to terraproperty.gr.

Property's Κey Features

Request Info
Φόρμα Επικοινωνίας Ακινήτου

View Also